LluviaMadrid11°
Vientos y lluvias torrenciales azotan el Caribe por el paso del huracán Melissa4Foto© larazon.es

Vientos y lluvias torrenciales azotan el Caribe por el paso del huracán Melissa

, 4 noticias, 0 vistas

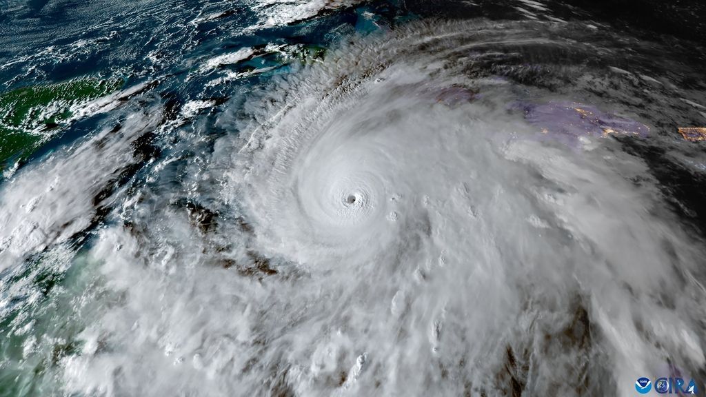
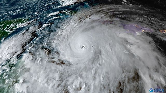
El huracán Melissa, catalogado como de categoría 5, avanza lentamente sobre el mar Caribe con vientos sostenidos de hasta 175 millas por hora (280 km/h), convirtiéndose en la tormenta más poderosa registrada en el planeta durante 2025.

Este martes, el Centro Nacional de Huracanes de Estados Unidos (NHC) advirtió sobre “inundaciones repentinas catastróficas y numerosos deslizamientos de tierra” en Jamaica, donde la tormenta está tocando tierra.

Las autoridades locales confirmaron ya al menos tres muertes relacionadas con el temporal antes del impacto directo, y se han ordenado evacuaciones obligatorias en zonas costeras y de montaña.